28.12.15

Thibaut prend les commandes (Farwest'15v2)

DCIM\103GOPRO
Le vent s’est calmé. Terminé les rafales à 30 kts malgré le ciel bleu. Nous recommencons à tirer des plans sur la comète. Faire notre mini-Farwest en rayonnant de Montgomery. La météo “embétante” (cf. image suivante) se décale vers l’est… en attendant la suivante. Cela nous condanne Sedona comme destination :
12366486_10156269723730207_2506339768053007380_n
… en plus, il fait frais et les pilotaillons que nous sommes - en vacances - recherchent un peu de châleur. Humour. On a des problèmes compliqués, hein ?
image
600 km à vol d’oiseau entre San Diego et Monterey
Les prévisions sont bonnes pour quelques jours sur toute la côte. Jusqu’à San Francisco. Mais on ne tiens pas spécialement à remonter jusqu’à San Francisco (j’en viens). Par contre, il y a en chemin quelques terrains que me tentent bien. Monterey (KMRY) et au dessus Half Moon Bay (KMHV). Ces deux-là peuvent bénéficier de météos capricieuses pour les VFR que nous sommes. De plus, je connais bien Monterey, du moins virtuellement grâce à la splendide scène d’Orbx.
2014-12-26_18-59-44-600
Les deux FBO de Monterey (Jet Center et Del Monte) vus depuis Flight Simulator (scène Orbx + Prepar3D)
A propos d’Orbx, nous venons de Palm Springs (KPSP), un terrain bien connu des Orbx’iens : une communauté de simmers fans des produits de l’éditeur appelé “Orbx”. Il édite des scènes/décors pour Flight Simulator soit sous forme d’aéroport ou bien de grande scène régionale. Dans tous les cas, les détails sont toujours époustouflants.

Et hop, à Thibaut de jouer

La route directe vers Monterey est un peu longue en Cessna 172 : 3h30. Nous en profitons pour la couper en deux. Pratiquement au milieu, il y a un terrain pour que Thibaut, nouvellement lâché, s’entraine : Shafter Minter. Sur ce terrain (KMIT), isolé d’espace compliqué, on trouve 3 pistes longues et forcément bien orientées pour le vent. Pas beaucoup de trafic, de l’auto-information et de l’essence à un prix compétitif complète le tableau idylique. Cela convient à Thibaut. Let’s go to Shafter Minter. Par contre, entre nous (San Diego) et Shafter Minter, il y a Los Angeles. Il nous faut donc choisir une stratégie. Il ne faut pas longtemps pour que nous nous décidions pour la Special Flight Rules. Facile, connu de tous, c’est le choix par défaut et qui convient parfaitement à la météo et à Thibaut ;-)

20151215_094754_HDR_Snapseed1er briefing pour Thibaut chez Gibbs/PlusOne à San Diego.
image Si vous voulez vous refaire ce vol, saisissez la route dans Skyvector en cliquant sur le lien suivant : KMYF –> VPSMS –> SMO –> GMN –> KMIT
Fichier_000 La navigation tirée sur Foreflight (application iPad de navigation équivalent d’un SkyDemon ou Air Nav Pro)
La route est simple. C’est bizarre d’écrire cela lorsqu’on pense que nous sommes en Cessna, en VFR, dans un pays étranger et que nous allons traverser le bassin de Los Angeles du sud au nord. Mais nous commençons à bien connaître “notre” coin : ses particularités de classes Bravo et ses procédures de transit comme la Special Flight Rules. On sait aussi, de plus en plus, à “quoi s’attendre”. Comment le contrôleur va nous appeler, ce qu’il va nous demander. Et tout cela permet d’envisager trèèèèès sereinement des navigations qui, il y a quelques années, auraient demandé de bien plus longues préparations et… angoisses ;-)
image Nous faisons attention au départ de Montgomery avec le sandwich de Bravo 1’800ft-3’200ft et 6’800ft-10’000ft.

Le vol décomposé étape par étape

Si vous voulez refaire ce vol dans Flight Simulator, voici toute la stratégie du vol étape par étape. Pas sûr, que l’ATC virtuel de FS vous fasse les mêmes messages (surtout qu’il ne gère pas la Special Flight Rules), mais vous aurez énormément de l’ambiance réelle sur les fréquences SOCAL ou Los Angeles Approach en ayant les gros (liners) et les petits mélangés. Pensez à mettre autant de traffics AI que votre PC vous l’autorise.
  • Départ de Montgomery Field (KMYF) vers l’ouest, les 28 en services à Montgomery : “Straight out departure, Mount Soledad”. En terme de contrainte, il nous faut rester sous les 4800 ft de la Bravo qui surplombe Montgomery, puis en dessous de 1800 ft ou si nous avons un bon taux de montée, rester entre 3200 et 6800 ft. Finalement, nous resterons sous les 1’800 ft puis monteront à 4500 ft en passant Del Mar Race Track en route vers le nord, le long de la côte.

    image
  • Une fois sur la côte, nous attraperons du Flight Following. Par précaution et pour éviter d’ennuyer les départs de John Wayne (KSNA), nous resterons au large de la Charlie de l’aéroport pour enquiller la Special Flight Rules à 4500 ft comme nous l’impose la procédure (cf. ci-après). Quelque part au niveau du VOR d’Ocean Side, le contrôleur du  Flight Following nous demandera :

    - “Cessna November Kilo, and how do you plan to transit the Los Angeles Class Bravo Airspace Today ?”
    - “Via the Special Flight Rules, sir !”

    image
  • Avec le Flight Following, à 4500 ft, il nous restera à procéder selon la Special Flight Rules. Vous la connaissez par coeur et ce sera une première pour Thibaut. Sa première “Los Angeles Special Flight Rules”. Il y a des premières dont on se souviendra toute sa vie, n’est-ce-pas ?

    image
    C’est simple. On s’accroche sur la radiale 132 de SMO, on maintient 4500 ft et on profite du spectacle. N’importe quel simmer sait faire cela. Le seul truc compliqué, dans le réel, est de ne pas dévier car on a envie de profiter du spectacle. Mais il ne faut pas abuser de la liberté qui nous ait offerte. Lorsque SOCAL ou “Los Angeles Approach” (rien que le nom de la fréquence donne des frissons) nous lâche “Radar service terminated, frequency change approved, good day”, on n’oubliera pas de passer le transpondeur sur 1201 et d’afficher 128.55 sur COM1 pour faire son auto-information avec, dans l’ordre du sud vers le nord : 1. Over Imperial Highway 2. Over the complex (ou le terminal) puis enfin 3. Over Manchester Blvd. Puis quitter. Toujour en auto-information. Simple, non ?

    image
    La traversée de LAX vue sur la carte Los Angeles Fly (au dos de la Los Angeles TAC) accessible sur Skyvector comme toutes les cartes FAA. 
  • Au niveau de Santa Monica, on reprend du Flight Following. D’accord, mais sur quelle fréquence ? En regardant l’A/FD (équivalent de notre VAC française) pour Santa Monica, on trouve la fréquence de SOCAL Departure : 125.2. Ce sera la fréquence que nous contacterons : “N734NK,Cessna Skyhawk, out of the Special Flight Rules over SMO VOR, northbound, 4’500 ft, request Flight Following, destination Shafter Minter at 8’500 ft”.

    image
    L’Airport Facility Directory (A/FD) pour le terain de Santa Monica où on trouve dans la section Communication, les fréquences propres à ce terrain.
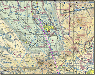
  • Après SMO, il nous faut monter car du relief nous attend devant. Notre altitude minimum pour passer les reliefs avec 500ft de marge (blurps) est indiquée sur les cartse : “84” (pour 8’400 ft) visibile au niveau du VOR Gorman.

    image
    ”84” et le Tejon Pass pour notre route

    La météo est parfaite. Un vrai CAVOK de chez CAVOK et Thibaut a déjà repéré que nous pourrons passer certainemet, plus bas. L’altitude de 8’400 ft correspond à un sommet de 8040 ft juste à l’ouest du VOR. On prévoit 8’500 ou 10’500 ft  (plutôt une route vers l’ouest donc des altitudes pair 4500, 6500, 8500…) mais, si comme le prévoit les prévisions, la météo nous le permet nous resterons dans le TEJON PASS qui culmine à 4’239 ft. 8500 ft de croisière, ça devrait donc le faire ;-)

    image
    A peine à l’ouest des espaces de Burbank et Van Nuys 

    Mais avant d’arriver à ce petit relief (tout est relatif, hey ! pilote de la région parisienne, vous en avez souvent des obstacles à 8500 ft ?), Thibaut prévoit de rester à l’écart de la Charlie de Burbank et Van Nuys. Au cas où. Nous serons certainement en Flight Following et donc nous aurons (ou pas) des clairances pour ces espaces, mais autant prévoir de passer à l’extérieur. Toujours avoir un plan B.
  • Puis, ce sera la descente dans la Central Valley, vers BakersField. Le Flight Following nous passera avec un BakersField Approach et nous ferons notre intégration sur Shafter Minter (KMIT) comme des grands, en auto-information CTAF 122.9. Le terrain sera forcément calme, avec plein de pistes libres au choix.

    image

    Nous aurons bien sûr écouté l’AWOS (le répondeur automatique qui donne le vent) sur 121.125 dès que possible.

    AF/D
    Trois pistes dont la plus petite fait 2’970 ft (900 mètres), ça devrait le faire ?
Voilà, vous savez tout. Tout de ce petit vol. 200 nm tout de même et un peu plus de 2 heures de vol de prévu. Avec le survol de la côte sud Californienne, la verticale du cinquième aéroport de la planète en 2015 en nombre de passagers, à 4’500 ft en auto-information et un ravitaillement dans la Central Valley. Que demande le peuple ?

Et en vrai cela donne quoi ?

20151215_100627_Snapseed
Le Cessna N734NK se fait ravitailler par Gibbs :Le plein, monsieur ! (“Top off sir !”)
“Bidon plein, coeur léger” comme dit le proverbe. Notre première branche est une classique de FarWest. On monte au nord et on fait un stop tranquille, sans contrainte de trafic, ni de contrôle à Shafter Minter (KMIT). Situé tout proche de Bakersfield, le terrain est en auto-information, mais avec un AWOS un répondeur météo consultable sur une fréquence.
20151215_100826_Snapseed Les cookies au cas où ;-)
N’étant pas commandant de bord, j’en profite pour installer mes trucs à droite. Ah, je le fais aussi quand je suis cdb ?

DCIM\103GOPRO
La routine ;-) Au point d’arrêt de la 28R à Montgomery, les essais moteur. Un peu comme au point d’arrêt de St-Cyr, non ?
vlcsnap-2015-12-28-11h24m59s181
La piste est identifiée, non ?
vlcsnap-2015-12-28-11h26m29s739
Montée initiale, départ dans l’axe et le Mont Soledad droit devant en ligne de mire
Fichier_002
L’écran de l’iPad durant la montée initiale : un traffic devant nous (N868MT) et en haut à gauche deux plots +4 (400 ft plus haut) : deux V22 Osprey qui rentrent à Miramar
DCIM\103GOPRO L’arrière du Cessna 172, nous voyageons léger sur ce Farwest
DCIM\103GOPRO Nous sortons pas Mount Soledad, rejoingons la côte pour attraper du Flight Following et survolons les plages de La Jolla. Splendide vue en place droite avec la GoPro
DCIM\103GOPRO Il a l’air détendu pour ce premier vol en tant que Commandant de Bord !
12366306_10153797332363518_3004001601054144246_n
Même is si je commence à faire beaucoup de survol de Los Angeles - et ce Farwest n’est pas fini - chaque passage reste tout de même…  incroyable. Ne boudons pas notre plaisir et profitons. C’est sans commune mesure avec ce que l’on peut trouver en France en terme de suvol VFR en avion léger et je continue, assis en place droite, alors que Thibaut gère la machine, à en prendre plein les yeux. La visibilité est incroyable, au delà du voile de pollution et il faut parfois se pincer pour se rappeler qu’on est au dessus d’une mégalopole qui s’étend à perte de vue. En dessous, c’est Los Angeles. Rien que ça.
DCIM\103GOPRODCIM\103GOPRO Juste devant revoilà l’aéroport LAX “Los Angeles International”
DCIM\103GOPRO A quelques secondes de la verticale de LAX, la météo nous gratifie d’une visibilité exceptionnelle.
20151215_111626_Snapseed
Deux iPad avec Foreflight et un récepteur Stratus (GPS+ADSB), un Garmin GTN650, deux VOR... On devrait s’en sortir
vlcsnap-2015-12-28-11h31m09s676
 Verticale Los Angeles International Airport : “Over the complex”
Fichier_005 L’écran de l’Ipad affiche tous les trafics au sol ;-)
vlcsnap-2015-12-28-11h33m45s849 Au dessus du terain de Santa Monica
DCIM\103GOPRODCIM\103GOPRO
Après notre passage par la Special Flight Rules, maintenant un grand classique que tous les lecteurs de ce blog doivent connaitre par coeur, nous quittons le bassin de Los Angeles. Thibaut monte un peu pour éviter le relief et nous laissons Van Nuys sur notre droite. Un UPS nous passe juste en dessous. Tout cela est normal.
Fichier_006.png Vue de l’iPad tel que nous l’avions dans l’avion : UPS20, 3100 ft en dessous de nous
vlcsnap-2015-12-28-11h34m46s443 Van Nuys au bout de l’aile
DCIM\103GOPRO
DCIM\103GOPRO
La météo nous gratifie d’un petit passage au dessus de quelques nuages. Juste pour avoir de belles photos ?
DCIM\103GOPROAprès nos petits reliefs et un peu de neigne, il est temps de descendre. Allons nous poser à Shafter Minter.
vlcsnap-2015-12-16-07h13m08s33
Dernier virage piste 30 à Shafter Minter (KMIT)
vlcsnap-2015-12-16-07h17m02s65_Snapseed
Le commandant de bord, concentré sur son atterrissage
vlcsnap-2015-12-16-07h12m54s120
Courte finale, piste 30 Shafter Minter (KMIT)

Des nouvelles de Shafter Minter

IMG_0172_Snapseed
Grande découverte à Shafter Minter ! Il y a de quoi se rassasier et se réchauffer/raffraichir (selon la saison). Non seulement, il y a une sorte de FBO ou Crew Lounge attenant au bureau de l’aéroport (Minter Field Pilot’s lounge), mais aussi un restaurant juste à côté ! Tout fout le camp. Alors qu’on considérait KMIT juste comme un stop à l’essence bon marché et rapide du fait du faible trafic, on va pouvoir considérer aussi Shafter Minter comme un stop “recharge de batterie” ;-)
20151215_131143_Snapseed
20151215_133744
20151215_130221_Snapseed Il a pas l’air comme ça, mais il doit être content de son premier vol en tant que Commandant de bord solo aux US !

3 nouveaux symboles sur la carte des terrains

image
J’ai toujours la chance et le plaisir de tenir à jour la carte des terrains où je suis allé. Et de retour du dernier Farwest, je rajoute 3 nouveau marqueurs sur la carte : Palm Springs, Monterey et Half Moon Bay. Parmi ceux-ci deux sont des terrains majeurs dans Flight Simulator car réalisés par Orbx en scène supplémentaires ultra-détaillés. Ce blog ne s’appelle-t-il pas du Virtuel au Réel ? Après la découverte dans Flight Simulator, c’est une incroyable chance de pouvoir y aller en tant que commandant de bord.
  • Palm Springs (KPSP) : j’avais réalisé des entrainements à Foreflight l’année dernière, à lire ici et une autre fois avec un très beau Palm Springs vers Big Bear à voir par ici réalisé avec Prepar3D

    DCIM\103GOPRO
    Du coup, je connaissais “très bien” virtuellement le terrain. L’emplacement du Museum, l’organisation des pistes et des taxiways, le terminal, la zone d’entraînement des pompiers. Ca ne m’a pas empêcher de mettre un temps fou à le retrouver… en vrai ;-) “Mais bon sang, il devrait être là !”
  • Monterey (KMRY) avait fait l’objet d’un flight report sur ce blog. J’y étais allé en voiture en ayant annulé un Farwest cause météo, mais cette année, j’ai eu le plaisir d’y poser mes roues. La météo étant plus avec nous. L’accueil a été incroyable chez Jet Center et PriceLine nous a réservé une belle surprise, pour ceux qui ne l’aurait pas vu sur Facebook. Je vous raconte ça dès que possible.

    20151215_153552_HDR-2_Snapseed
    ”You’re talking to me ?” Ils n’ont pas l’air aimables ces pilotes ;-)
  • Half Moon Bay (KHAF) n’est pas une scène renommée dans Flight Simulator. Et pourtant, j’avais fait un Flight Report justement d’un vol entre Monterey et Half Moon Bay. Justement celui que je referais en réel durant ce Farwest. Non, Half Moon Bay, c’est plutôt un running gag de Farwest’iens. Je prétend qu’Half Moon Bay est innacessible pour nous autres VFR. Ce terrain est réputé pour être très (très) souvent bâché. Sur la côte Pacifique, juste à San Francisco, c’est une destination que je n’espérais pas atteindre en VFR ;-) Mais la météo nous a aidé – au moins sur la fin – et permis d’aller déjeuner au 3-Zero Café.

    IMG_0195_Snapseed
    Trop de soleil pour les Selfies ;-) devant le restau. 3-Zero Café
Allez, je dois encore trier des dizaines de photos et tâche de vous rédiger quelques posts pendant les fêtes !
Related Posts Plugin for WordPress, Blogger...